HiWish program
HiWish is a program created by NASA so that anyone can suggest a place for the HiRISE camera on the Mars Reconnaissance Orbiter to photograph.[1] It was started in January 2010. In the first few months of the program 3000 people signed up to use HiRISE.[2][3] The first images were released in April 2010.[4] Over 7000 suggestions were made by the public; suggestions were made for targets in each of the 30 quadrangles of Mars. Selected images released were used for three talks at the 16th Annual International Mars Society Convention. Below are some of the over 4,224 images that have been released from the HiWish program as of March, 2016.[5]
Glacial features
Some landscapes look just like glaciers moving out of mountain valleys on Earth. Some have a hollowed-out appearance, looking like a glacier after almost all the ice has disappeared. What is left are the moraines—the dirt and debris carried by the glacier. The center is hollowed out because the ice is mostly gone.[6] These supposed alpine glaciers have been called glacier-like forms (GLF) or glacier-like flows (GLF).[7] Glacier-like forms are a later and maybe more accurate term because we cannot be sure the structure is currently moving.[8]
,

|
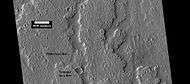
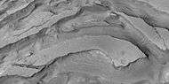
- Possible glacier flowing down a valley and spreading out on a plain. Rectangle shows a portion that is enlarged in the next image.
- Enlargement of the area in the rectangle in the previous image. This area would be called a moraine in an alpine glacier on Earth.
Well-developed hollows of concentric crater fill, as seen by HiRISE under the HiWish program.
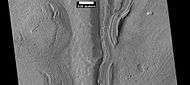
Glacier on a crater floor, as seen by HiRISE under HiWish program The cracks in the glacier may be crevasses. There is also a gully system on the crater wall.
Glacier coming out of valley, as seen by HiRISE under HiWish program Location is rim of Moreux Crater. Location is Ismenius Lacus quadrangle.
Wide view of tongue-shaped flows, as seen by HiRISE under the HiWish program
Close view of tongue-shaped flows, as seen by HiRISE under the HiWish program
Possible pingos
The radial and concentric cracks visible here are common when forces penetrate a brittle layer, such as a rock thrown through a glass window. These particular fractures were probably created by something emerging from below the brittle Martian surface. Ice may have accumulated under the surface in a lens shape; thus making these cracked mounds. Ice being less dense than rock, pushed upwards on the surface and generated these spider web-like patterns. A similar process creates similar sized mounds in arctic tundra on Earth. Such features are called “pingos,”, an Inuit word.[9] Pingos would contain pure water ice; thus they could be sources of water for future colonists of Mars.
Possible pingos with scale, as seen by HiRISE under HiWish program
Close view of possible pingo with scale, as seen by HiRISE under HiWish program
Ancient rivers and streams
There is great deal of evidence that water once flowed in river valleys on Mars. Pictures from orbit show winding valleys, branched valleys, and even meanders with oxbow lakes.[10] Some are visible in the pictures below.
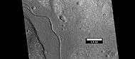
Channel on floor of Newton Crater, as seen by HiRISE under HiWish program.
Branched channel, as seen by HiRISE under HiWish program.
Branched channel, as seen by HiRISE under HiWish program.
Oxbow lake, as seen by HiRISE under HiWish program.
Valleys as seen by HiRISE under HiWish program
Channel in Arabia, as seen by HiRISE under HiWish program.
Channel system that travels through part of a crater, as seen by HiRISE under HiWish program
Channels, as seen by HiRISE under HiWish program. Stream appears to have eroded through a hill.
Channel showing an old oxbow and a cutoff, as seen by HiRISE under HiWish program. Location is Memnonia quadrangle.
Close view of channel in Ismenius Lacus quadrangle, as seen by HiRISE under HiWish program
Channel with hanging valley in Ismenius Lacus quadrangle, as seen by HiRISE under HiWish program
Wide view of channels in Ismenius Lacus quadrangle, as seen by HiRISE under HiWish program
Streamlined shapes
Streamlined shapes represent more evidence of past flowing water on Mars. Water shaped features into streamlined shapes.
Streamlined feature, as seen by HiRISE under HiWish program Location is Memnonia quadrangle.
Wide view of streamlined shapes in Amenthes quadrangle, as seen by HiRISE under HiWish program
Close view of streamlined shapes, as seen by HiRISE under HiWish program Arrow indicates the direction of past flowing water.
Close view of streamlined shapes, as seen by HiRISE under HiWish program
Close view of streamlined shapes, as seen by HiRISE under HiWish program
Close view of streamlined shapes, as seen by HiRISE under HiWish program
Close view of streamlined shape, as seen by HiRISE under HiWish program
New Crater
HiRISE images showing discovery of a new crater with HiWish program
New crater, as seen by HiRISE under HiWish program. The new crater indicated with the white arrow is about 10 yards across and was probably created by the collision with an object the size of a large watermelon. This crater did not appear in earlier images of the same region.
Sand dunes
Many locations on Mars have sand dunes. The dunes are covered by a seasonal carbon dioxide frost that forms in early autumn and remains until late spring. Many martian dunes strongly resemble terrestrial dunes but images acquired by the High-Resolution Imaging Science Experiment on the Mars Reconnaissance Orbiter have shown that martian dunes in the north polar region are subject to modification via grainflow triggered by seasonal CO2 sublimation, a process not seen on Earth. Many dunes are black because they are derived from the dark volcanic rock basalt. Extraterrestrial sand seas such as those found on Mars are referred to as "undae" from the Latin for waves.
Dunes in two craters, as seen by HiRISE under the HiWish program.
Dunes among craters, as seen by HiRISE under HiWish program. Some of these are barchans.
Dunes on a crater floor, as seen by HiRISE under HiWish program. Most of these are barchans. Box shows location of next image.
Dunes on a crater floor, as seen by HiRISE under HiWish program. Most of these are barchans. Note: this is an enlargement of the center of the previous image.
Dunes, as seen by HiRISE under HiWish program. Location is Eridania quadrangle.
Defrosting dunes and ice in troughs of polygons, as seen by HiRISE under HiWish program
Color view of defrosting dunes and ice in troughs of polygons, as seen by HiRISE under HiWish program
Defrosting surface, as seen by HiRISE under HiWish program Frost is disappearing in patches from a dune. The trough boundaries around the polygon shapes still contain frost; hence they are white. Note: the north side (side near top) has not defrosted because the sun is coming from the other side.
Wide view of dunes in Moreux Crater, as seen by HiRISE under HiWish program
Dunes in Mare Tyrrhenum quadrangle, as seen by HiRISE under HiWish program
Close view of dunes in Mare Tyrrhenum quadrangle, as seen by HiRISE under HiWish program
Close, color view of dunes in Mare Tyrrhenum quadrangle, as seen by HiRISE under HiWish program Ripples are visible on dune surface.
Landing site
Some of the targets suggested became possible sites for a Rover Mission in 2020. The targets were in Firsoff (crater) and Holden Crater. These locations were picked as two of 26 locations considered for a mission that will look for signs of life and gather samples for a later return to Earth.[11][12][13]
Layers in Firsoff Crater, as seen by HiRISE under HiWish program Note: this image field can be found in the previous image of the layers in Firsoff Crater, as seen by CTX camera (on Mars Reconnaissance Orbiter).
Close-up of layers in Firsoff Crater, as seen by HiRISE Note: this is an enlargement of the previous image of Firsoff Crater.
Layers in Firsoff crater with a box showing the size of a football field Picture taken by HiRISE under HiWish program.
Layers and faults in Firsoff Crater, as seen by HiRISE under HiWish program. Arrows show one large fault, but there are other smaller ones in the picture.
Part of delta in Holden Crater, as seen by HiRISE under HiWish program Holden crater is a possible landing site for a Mars Rover scheduled for 2020.[14]
Close view of previous image showing layers, as seen by HiRISE under HiWish program and enlarged with HiView
Landscape features
- Troughs to the East of Albor Tholus, as seen by HiRISE under the HiWish program.
- Portion of a trough (Fossae) in Elysium Planitia, as seen by HiRISE under the HiWish program. Blue indicates possible seasonal frost.
Landslide in a crater, as seen by HiRISE under HiWish program Image from Iapygia quadrangle.
Wide view of Buttes and Mesas, as seen by HiRISE under HiWish program Location is Elysium quadrangle.
Buttes and mesas, as seen by HiRISE under HiWish program Note: this is an enlargement of the previous image.
Mesas, as seen by HiRISE under HiWish program Note: this is an enlargement of a previous image.
Dark slope streaks
Layers and dark slope streaks, as seen by HiRISE under HiWish program
Dark slope streaks on mesa, as seen by HiRISE under HiWish program Location is Amazonis quadrangle.
Close-up of some layers under cap rock of a pedestal crater and a dark slope streak, as seen by HiRISE under HiWish program.
Dark slope streaks and layers near a pedestal crater, as seen by HiRISE under the HiWish program. Arrows show the small starting points for the streaks.
Dark slope streaks on mound in Lycus Sulci in Diacria quadrangle, as seen by HiRISE under HiWish program
Layers
Many places on Mars show rocks arranged in layers. Rock can form layers in a variety of ways. Volcanoes, wind, or water can produce layers.[15] Layers can be hardened by the action of groundwater.
,
Layers exposed at the base of a group of buttes in Mangala Valles in Memnonia quadrangle, as seen by HiRISE under HiWish program. Arrows point to boulders sitting in pits. The pits may have formed by winds, heat from the boulders melting ground ice, or some other process.
Buttes, as seen by HiRISE under HiWish program. Buttes have layered rocks with a hard resistant cap rock on the top which protects the underlying rocks from erosion.
Butte in Crommelin Crater, as seen by HiRISE under HiWish program. Location is Oxia Palus quadrangle.
Layers in Crommelin Crater, as seen by HiRISE under HiWish program. Location is Oxia Palus quadrangle.
Light toned butte, as seen by HiRISE, under HiWish program. Light toned material is probably sulfate-rich and similar to material examined by Spirit Rover, and it once probably covered the whole floor.
Layered terrain in Aeolis quadrangle, as seen by HiRISE under HiWish program.
Wide view of layered terrain, as seen by HiRISE under HiWish program Location is northeast of Gale Crater in Aeolis quadrangle.
Close view of mound with layers, as seen by HiRISE under HiWish program Note: this is an enlargement from the previous image.
Close view of mound with layers, as seen by HiRISE under HiWish program Note: this is an enlargement from a previous image.
Layers in Arabia, as seen by HiRISE under HiWish program.
Wide view of part of Danielson Crater, as seen by HiRISE under HiWish program
Enlargement of previous image of Danielson Crater, as seen by HiRISE under HiWish program The box represents the size of a football field.
Close-up of layers in Danielson Crater, as seen by HiRISE under HiWish program—boulders are visible, as well as dark sand
Close-up of layers in trough south of Ius Chasma, as seen by HiRISE under HiWish program
Close-up of layers in Lotto Crater, as seen by HiRISE under HiWish program
Layers, as seen by HiRISE under HiWish program Location is Tempe Terra
Layers, as seen by HiRISE under HiWish program Location is Tempe Terra Note: this is an enlargement of the previous image.
Close view of layers, as seen by HiRISE under HiWish program At least one layer is light-toned which may indicated hydrated minerals.
Close view of layers, as seen by HiRISE under HiWish program
Gullies
Martian gullies are small, incised networks of narrow channels and their associated downslope sediment deposits, found on the planet of Mars. They are named for their resemblance to terrestrial gullies. First discovered on images from Mars Global Surveyor, they occur on steep slopes, especially on the walls of craters. Usually, each gully has a dendritic alcove at its head, a fan-shaped apron at its base, and a single thread of incised channel linking the two, giving the whole gully an hourglass shape.[16] They are believed to be relatively young because they have few, if any craters.
On the basis of their form, aspects, positions, and location amongst and apparent interaction with features thought to be rich in water ice, many researchers believed that the processes carving the gullies involve liquid water. However, this remains a topic of active research.
,

|
Close-up of gully aprons showing they are free of craters; hence very young. Location is Phaethontis quadrangle. Picture was taken by HiRISE under HiWish program.
Gullies on wall of crater, as seen by HiRISE under HiWish program Location is the Mare Acidalium quadrangle.
Close-up of gully channels, as seen by HiRISE under HiWish program. This image shows many streamlined forms and some benches along a channel. These features suggest formation by running water. Benches are usually formed when the water level goes down a bit and stays at that level for a time. Picture was taken with HiRISE under HiWish program. Location is the Mare Acidalium quadrangle. Note this is an enlargement of a previous image.
Gullies in crater in Phaethontis quadrangle, as seen by HiRISE under HiWish program
Gullies along mesa wall in North Tempe Terra, as seen by HiRISE under HiWish program
Close view of gully apron, as seen by HiRISE under HiWish program Note this is an enlargement of the previous image.
Close view of gully alcove, as seen by HiRISE under HiWish program Note this is an enlargement of a previous image.
Gullies in crater, as seen by HiRISE under HiWish program
Close view of gullies from previous image The channels are quite curved. Because channels of gullies often form curves, it was thought that they were made by flowing water. Today, it is thought that they could be produced with chunks of dry ice. The image is from HiRISE under HiWish program.
Latitude dependent mantle
Much of the Martian surface is covered with a thick ice-rich, mantle layer that has fallen from the sky a number of times in the past.[17][18][19] In some places a number of layers are visible in the mantle.
Surface showing appearance with and without mantle covering, as seen by HiRISE, under the HiWish program. Location is Terra Sirenum in Phaethontis quadrangle.
Mantle layers, as seen by HiRISE under HiWish program. Location is Eridania quadrangle
Close up view of mantle, as seen by HiRISE under the HiWish program. Mantle may be composed of ice and dust that fell from the sky during past climatic conditions. Location is Cebrenia quadrangle.
Close view of mantle, as seen by HiRISE under HiWish program Arrows show craters along edge which highlight the thickness of mantle. Location is Ismenius Lacus quadrangle.
Close view that displays the thickness of the mantle, as seen by HiRISE under HiWish program Location is Ismenius Lacus quadrangle.
It fell as snow and ice-coated dust. There is good evidence that this mantle is ice-rich. The shapes of the polygons common on many surfaces suggest ice-rich soil. High levels of hydrogen (probably from water) have been found with Mars Odyssey.[20][21][22][23][24] Thermal measurements from orbit suggest ice.[25][26] The Phoenix (spacecraft) discovered water ice with made direct observations since it landed in a field of polygons.[27][28] In fact, its landing rockets exposed pure ice. Theory had predicted that ice would be found under a few cm of soil. This mantle layer is called "latitude dependent mantle" because its occurrence is related to the latitude. It is this mantle that cracks and then forms polygonal ground. This cracking of ice-rich ground is predicted based on physical processes.[29][30] [31][32][33][34][35]
,
Polygonal patterned ground
Polygonal, patterned ground is quite common in some regions of Mars.[36][37][38][39][40][41][42] It is commonly believed to be caused by the sublimation of ice from the ground. Sublimation is the direct change of solid ice to a gas. This is similar to what happens to dry ice on the Earth. Places on Mars that display polygonal ground may indicate where future colonists can find water ice. Patterned ground forms in a mantle layer, called latitude dependent mantle, that fell from the sky when the climate was different.[17][18][43][44]
,
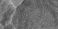
High center polygons, shown with arrows, as seen by HiRISE under HiWish program. Loacation is Casius quadrangle. Image enlarged with HiView.
Scalloped terrain labeled with both low center polygons and high center polygons, as seen by HiRISE under HiWish program Loacation is Casius quadrangle. Image enlarged with HiView.
Low center polygons, as seen by HiRISE under HiWish program Loacation is Casius quadrangle. Image enlarged with HiView.
High and low center polygons, as seen by HiRISE under HiWish program Loacation is Casius quadrangle. Image enlarged with HiView.
Close-up of high center polygons seen by HiRISE under HiWish program Troughs between polygons are easily visible in this view. Location is Ismenius Lacus quadrangle.
Low center polygons, as seen by HiRISE under HiWish program Loacation is Casius quadrangle. Image enlarged with HiView. Location is Casius quadrangle.
Close view of snout of glacier, as seen by HiRISE under the HiWish program High center polygons are visible. Box shows size of football field.
Close view of high center ploygons near glacier, as seen by HiRISE under the HiWish program Box shows size of football field.
Close view of high center ploygons near glacier, as seen by HiRISE under the HiWish program
Wide view of a group of channels, as seen by HiRISE under HiWish project Some parts of the surface show patterned ground when enlarged.
Patterned ground, as seen by HiRISE under HiWish program This is a close up from previous image.
Ridges, as seen by HiRISE under HiWish program This is a close up from a previous image.
Color view of surface in a previous image, as seen by HiRISE under HiWish program
Color image of patterned ground, enlarged from a previous image, as seen by HiRISE under HiWish program
Scalloped topography
Scalloped topography is common in the mid-latitudes of Mars, between 45° and 60° north and south. It is particularly prominent in the region of Utopia Planitia[45][46] in the northern hemisphere and in the region of Peneus and Amphitrites Patera[47][48] in the southern hemisphere. Such topography consists of shallow, rimless depressions with scalloped edges, commonly referred to as "scalloped depressions" or simply "scallops". Scalloped depressions can be isolated or clustered and sometimes seem to coalesce. A typical scalloped depression displays a gentle equator-facing slope and a steeper pole-facing scarp. This topographic asymmetry is probably due to differences in insolation. Scalloped depressions are believed to form from the removal of subsurface material, possibly interstitial ice, by sublimation. This process may still be happening at present.[49]
On November 22, 2016, NASA reported finding a large amount of underground ice in the Utopia Planitia region of Mars.[50]The volume of water detected has been estimated to be equivalent to the volume of water in Lake Superior.[51][52] The volume of water ice in the region were based on measurements from the ground-penetrating radar instrument on Mars Reconnaissance Orbiter, called SHARAD. From the data obtained from SHARAD, “dielectric permittivity”, or the dielectric constant was determined. The dielectric constant value was consistent with a large concentration of water ice. [53] [54] [55]
,
Scalloped ground, as seen by HiRISE under HiWish program.
Close-up of scalloped ground, as seen by HiRISE under HiWish program. Surface is divided into polygons; these forms are common where ground freezes and thaws. Note: this is an enlargement of a previous image.
Scalloped ground, as seen by HiRISE under HiWish program.
Close-up of scalloped ground, as seen by HiRISE under HiWish program. Surface is divided into polygons; these forms are common where ground freezes and thaws. Note: this is an enlargement of a previous image.
Low center polygons, shown with arrows, as seen by HiRISE under HiWish program Image was enlarged with HiView.
Pedestal Craters
A pedestal crater is a crater with its ejecta sitting above the surrounding terrain and thereby forming a raised platform (like a pedestal). They form when an impact crater ejects material which forms an erosion-resistant layer, thus causing the immediate area to erode more slowly than the rest of the region. Some pedestals have been accurately measured to be hundreds of meters above the surrounding area. This means that hundreds of meters of material were eroded away. The result is that both the crater and its ejecta blanket stand above the surroundings. Pedestal craters were first observed during the Mariner missions.[56][57][58][59]
Pedestal crater with layers, as seen by HiRISE under HiWish program Location is Amazonis quadrangle.
Ring mold craters
Ring mold craters are believed to be formed from asteroid impacts into ground that has an underlying layer of ice. The impact produces an rebound of the ice layer to form a "ring-mold" shape.
,
Ring mold craters of various sizes on floor of a crater, as seen by HiRISE under HiWish program Location is Ismenius Lacus quadrangle.
Wide view of a field of ring mold craters, as seen by HiRISE under HiWish program
Close view of ring mold crater, as seen by HiRISE under HiWish program Note: this is an enlargement of the previous image of a field of ring mold craters.
Halo Craters
Pedestal crater with boulders along rim. Such craters are called "halo craters."[60] Picture taken with HiRISE under HiWish program.
Close view of boulders on lower left of crater rim Box is the size of a football field, so boulders are roughly the size of cars or small houses. Picture taken with HiRISE under HiWish program.
Close view of boulders along crater rim Boulders are roughly the size of cars or small houses. Picture taken with HiRISE under HiWish program.
Boulders
Boulders, as seen by HiRISE under HiWish program Location is Ismenius Lacus quadrangle.
Boulder and boulder tracks, as seen by HiRISE under HiWish program The arrow shows a boulder that has made a track in the sand as it rolled down dune. Location is Mare Boreum quadrangle.
Boulders and tracks, as seen by HiRISE under HiWish program The arrows show a boulders that have produced a track by rolling down dune. Location is Mare Boreum quadrangle.
Boulders and their tracks from rolling down a slope, as seen by HiRISE under HiWish program Arrows show two boulders at the end of their tracks. Location is Arabia quadrangle.
Dust devil tracks
Dust devil tracks can be very pretty. They are caused by giant dust devils removing bright colored dust from the Martian surface; thereby exposing a dark layer.
Dust devil tracks, as seen by HiRISE under HiWish program.
Dust devil tracks, as seen by HiRISE under HiWish program
Layers in Danielson Crater with dust devil tracks at the top of the picture, as seen by HiRISE under HiWish program
Yardangs
Yardangs are common in some regions on Mars, especially in what's called the "Medusae Fossae Formation." This formation is found in the Amazonis quadrangle and near the equator.[61] They are formed by the action of wind on sand sized particles; hence they often point in the direction that the winds were blowing when they were formed.[62] Because they exhibit very few impact craters they are believed to be relatively young.[63]
,
Yardangs, as seen by HiRISE under HiWish program Location is near Gordii Dorsum in the Amazonis quadrangle. These yardangs are in the upper member of the Medusae Fossae Formation.
Yardangs, as seen by HiRISE under HiWish program Location is near Gordii Dorsum in the Amazonis quadrangle. Note: this is an enlargement of previous image.
Yardangs, as seen by HiRISE under HiWish program Location is near Gordii Dorsum in the Amazonis quadrangle. Note: this is an enlargement of previous image.
Yardangs formed in light-toned material and surrounded by dark, volcanic basalt sand, as seen by HiRISE under HiWish program. Loacation is Margaritifer Sinus quadrangle.
Close-up image of yardangs, as seen by HiRISE under HiWish program. Arrows point to transverse aeolian ridges, TAR's, a type of dune. Note this is an enlargement of the previous image from HiRISE.
Upper Plains Unit
Remnants of a 50-100 meter thick mantling, called the upper plains unit, has been discovered in the mid-latitudes of Mars. First investigated in the Deuteronilus Mensae (Ismenius Lacus quadrangle) region, but it occurs in other places as well. The remnants consist of sets of dipping layers in craters and along mesas.[64] Sets of dipping layers may be of various sizes and shapes—some look like Aztec pyramids from Central America
Layered structure in crater that is probably what is left of a layered unit that once covered a much larger area. Material for this unit fell from the sky as ice-coated dust. The picture was taken by HiRISE, under the HiWish program. Picture is from Hellas quadrangle.
Dipping layers, as seen by HiRISE under HiWish program
Layered features in crater, as seen by HiRISE under HiWish program
Layered structures, as seen by HiRISE under HiWish program
Close view of dipping layers along a mesa wall, as seen by HiRISE under HiWish program Location is Ismenius Lacus quadrangle.
Close view of dipping layers in Ismenius Lacus quadrangle, as seen by HiRISE under HiWish program
Wide view of dipping layers in Ismenius Lacus quadrangle, as seen by HiRISE under HiWish program Gullies are also visible at the bottom of the image.
This unit also degrades into brain terrain. Brain terrain is a region of maze-like ridges 3–5 meters high. Some ridges may consist of an ice core, so they may be sources of water for future colonists.
Brain terrain, as seen by HiRISE under HiWish program Location is Ismenius Lacus quadrangle.
Layered features and brain terrain, as seen by HiRISE under HiWish program The upper plains unit often changes into brain terrain.
Brain terrain is forming from the breakdown of upper plains unit, as seen by HiRISE under HiWish program Arrow points to a place where fractures are forming that will turn into brain terrain.
Brain terrain is forming from the breakdown of upper plains unit, as seen by HiRISE under HiWish program Arrow points to a place where fractures are forming that will turn into brain terrain.
Wide view of brain terrain being formed, as seen by HiRISE under HiWish program
Brain terrain being formed, as seen by HiRISE under HiWish program Note: this is an enlargement of the previous image using HiView. Arrows indicate spots where brain terrain is beginning to form.
Brain terrain being formed, as seen by HiRISE under HiWish program Note: this is an enlargement of a previous image using HiView. Arrows indicate spots where brain terrain is beginning to form.
Brain terrain being formed, as seen by HiRISE under HiWish program Note: this is an enlargement of a previous image using HiView.
Brain terrain being formed, as seen by HiRISE under HiWish program Note: this is an enlargement of a previous image using HiView.
Open and closed brain terrain with labels, as seen by HiRISE under HiWish program Location is Ismenius Lacus quadrangle.
Brain terrain being formed, as seen by HiRISE under HiWish program Location is Ismenius Lacus quadrangle.
Wide view of brain terrain being formed, as seen by HiRISE under HiWish program
Brain terrain being formed, as seen by HiRISE under HiWish program Note: this is an enlargement of the previous image using HiView.
Brain terrain being formed, as seen by HiRISE under HiWish program Note: this is an enlargement of a previous image using HiView.
Some regions of the upper plains unit display large fractures and troughs with raised rims; such regions are called ribbed upper plains. Fractures are believed to have started with small cracks from stresses. Stress is suggested to initiate the fracture process since ribbed upper plains are common when debris aprons come together or near the edge of debris aprons—such sites would generate compressional stresses. Cracks exposed more surfaces, and consequently more ice in the material sublimates into the planet's thin atmosphere. Eventually, small cracks become large canyons or troughs.
Well developed ribbed upper plains material. These start with small cracks that expand as ice sublimates from the surfaces of the crack. Picture was taken with HiRISE under HiWish program
Dipping layers, as seen by HiRISE under HiWish program Also, Ribbed Upper plains material is visible in the upper right of the picture. It is forming from the upper plains unit, and in turn is being eroded into brain terrain.
Wide view showing ribbed terrain and brain terrain, as seen by HiRISE under HiWish program
Ribbed terrain being formed from upper plains unit, as seen by HiRISE under HiWish program Formation begins with cracks that enhance sublimation. Bok shows the size of football field.
Small cracks often contain small pits and chains of pits; these are thought to be from sublimation (phase transition) of ice in the ground.[65][66] Large areas of the Martian surface are loaded with ice that is protected by a meters thick layer of dust and other material. However, if cracks appear, a fresh surface will expose ice to the thin atmosphere.[67][68] In a short time, the ice will disappear into the cold, thin atmosphere in a process called sublimation (phase transition). Dry ice behaves in a similar fashion on the Earth. On Mars sublimation has been observed when the Phoenix lander uncovered chunks of ice that disappeared in a few days.[27][69] In addition, HiRISE has seen fresh craters with ice at the bottom. After a time, HiRISE saw the ice deposit disappear.[70]
The upper plains unit is thought to have fallen from the sky. It drapes various surfaces, as if it fell evenly. As is the case for other mantle deposits, the upper plains unit has layers, is fine-grained, and is ice-rich. It is widespread; it does not seem to have a point source. The surface appearance of some regions of Mars is due to how this unit has degraded. It is a major cause of the surface appearance of lobate debris aprons.[66] The layering of the upper plains mantling unit and other mantling units are believed to be caused by major changes in the planet's climate. Models predict that the obliquity or tilt of the rotational axis has varied from its present 25 degrees to maybe over 80 degrees over geological time. Periods of high tilt will cause the ice in the polar caps to be redistributed and change the amount of dust in the atmosphere.[71][72][73]
Linear Ridge Networks
Linear ridge networks are found in various places on Mars in and around craters.[74] Ridges often appear as mostly straight segments that intersect in a lattice-like manner. They are hundreds of meters long, tens of meters high, and several meters wide. It is thought that impacts created fractures in the surface, these fractures later acted as channels for fluids. Fluids cemented the structures. With the passage of time, surrounding material was eroded away, thereby leaving hard ridges behind. Since the ridges occur in locations with clay, these formations could serve as a marker for clay which requires water for its formation.[75][76][77] Water here could have supported
Network of ridges, as seen by HiRISE under HiWish program Ridges may be formed in various ways.
Color, close-up of ridges seen in previous image, as seen by HiRISE under HiWish program
Close-up and color image of linear ridge network, as seen by HiRISE under HiWish program
More linear ridge networks from same location as previous image, as seen by HiRISE under HiWish program
Linear ridge networks, as seen by HiRISE under HiWish program Location is Amazonis quadrangle.
Linear ridge network, as seen by HiRISE under HiWish program Location is Mare Tyrrhenum quadrangle.
Linear ridge network, as seen by HiRISE under HiWish program Location is Casius quadrangle.
Wide view of ridge network, as seen by HiRISE under HiWish program Location is Arcadia quadrangle.
Close view of ridge networks, as seen by HiRISE under HiWish program Arrow points to small, straight ridge. Location is Arcadia quadrangle.
Mesas
Mesa, as seen by HiRISE under HiWish program This may make for a good race around a mesa someday in the far future.
Mesa with layers, as seen by HiRISE under HiWish program Location is Mare Acidalium quadrangle.
Close view of layers in mesa, as seen by HiRISE under HiWish program
Mesas formed by ground collapse
Group of mesas, as seen by HiRISE under HiWish program Oval box contains mesas that may have moved apart.
Enlarged view of a group of mesas, as seen by HiRISE under HiWish program One surface is forming square shapes.
Mesas breaking up forming straight edges, as seen by HiRISE under HiWish program
Large group of concentric cracks, as seen by HiRISE, under HiWish program.
Tilted layers formed when ground collapsed, as seen by HiRISE, under HiWish program.
Tilted layers formed from ground collapse, as seen by HiRISE, under HiWish program.
Mesas breaking up into blocks, as seen by HiRISE, under HiWish program.
Fractures forming blocks
In places large fractures break up surfaces. Sometimes straight edges are formed and large cubes are created by the fractures.
Wide view of mesas that are forming fractures, as seen by HiRISE under HiWish program.
Enlarged view of a part of previous image, as seen by HiRISE under HiWish program. The rectangle represents the size of a football field.
Close-up of blocks being formed, as seen by HiRISE under HiWish program as seen by HiRISE under HiWish program.
Close-up of blocks being formed, as seen by HiRISE under HiWish program The rectangle represents the size of a football field, so blocks are the size of buildings.
Close-up of blocks being formed, as seen by HiRISE under HiWish program as seen by HiRISE under HiWish program. Many long fractures are visible on the surface.
Surface breaking up, as seen by HiRISE under HiWish program as seen by HiRISE under HiWish program. Near the top the surface is eroding into brain terrain.
Wide view showing light-toned feature that is breaking into blocks, as seen by HiRISE under HiWish program
Close view showing blocks being formed, as seen by HiRISE under HiWish program Note: this is an enlargement of the previous image. Box represents size of football field.
Lava flows
Lava flow in Tharsis quadrangle, as seen by HiRISE under HiWish program
Close-up of lava flow with labels, as seen by HiRISE under HiWish program Note: this is an enlargement of the previous image of lava flows.
Lava flows with older and younger flows labeled, as seen by HiRISE under HiWish program
Edge of lava flow, as seen by HiRISE under HiWish program Location is Solis Planum in Phoenicis Lacus quadrangle.
Wide view of streamlined shape and rafts of lava, as seen by HiRISE under HiWish program
Close view of lava rafts from previous image, as seen by HiRISE under HiWish program
Rootless Cones
So-called "Rootless cones" are caused by explosions of lava with ground ice under the flow. The ice melts and turns into a vapor that expands in an explosion that produces a cone or ring. Featureslike these are found in Iceland, when lavas cover water-saturated substrates.[78][79][80]
Wide view of field of rootless cones, as seen by HiRISE under HiWish program
Close view of rootless cones with tails that suggest lava was moving toward the Southwest over ice-rich ground, as seen by HiRISE under HiWish program
Close view of cones with the size of a football field shown, as seen by HiRISE under HiWish program
Mud volcanoes
Some features look like volcanoes. Some of them may be mud volcanoes where pressurized mud is forced upward forming cones. These features may be places to look for life as they bring to the surface possible life that has been protected from radiation.
Large field of cones that may be mud volcanoes, as seen by HiRISE under HiWish program
Close-up of possible mud volcanoes, as seen by HiRISE under HiWish program Note: this is an enlargement of the previous image.
Possible mud volcano, as seen by HiRISE under HiWish program
How to suggest image
To suggest a location for HiRISE to image visit the site at http://www.uahirise.org/hiwish
In the sign up process you will need to come up with an ID and a password. When you choose a target to be imaged, you have to pick and exact location on a map and write about why the image should be taken. If you suggestion is accepted, it may take 3 months or more to see your image. You will be sent an email telling you about your images. The emails usually arrive on the first Wednesday of the month in the late afternoon.
See also
- Climate of Mars
- Geology of Mars
- Glaciers
- Glaciers on Mars
- Barchan
- Groundwater on Mars
- Martian gullies
- Linear ridge networks
- Yardangs on Mars
References
- ↑ "Public Invited To Pick Pixels On Mars". Mars Daily. January 22, 2010. Retrieved January 10, 2011.
- ↑ Interview with Alfred McEwen on Planetary Radio, 3/15/2010
- ↑ http://www.planetary.org/multimedia/planetary-radio/show/2010/384.html
- ↑ "NASA releases first eight "HiWish" selections of people's choice Mars images". TopNews. April 2, 2010. Retrieved January 10, 2011.
- ↑ McEwen, A. et al. 2016. THE FIRST DECADE OF HIRISE AT MARS. 47th Lunar and Planetary Science Conference (2016) 1372.pdf
- ↑ Milliken, R., J. Mustard, D. Goldsby. 2003. Viscous flow features on the surface of Mars: Observations from high-resolution Mars Orbiter Camera (MOC) images. J. Geophys. Res. 108. doi:10.1029/2002JE002005.
- ↑ Arfstrom, J and W. Hartmann. 2005. Martian flow features, moraine-like ridges, and gullies: Terrestrial analogs and interrelationships. Icarus 174, 321-335.
- ↑ Hubbard B., R. Milliken, J. Kargel, A. Limaye, C. Souness. 2011. Geomorphological characterisation and interpretation of a mid-latitude glacier-like form: Hellas Planitia, Mars Icarus 211, 330–346
- ↑ http://www.uahirise.org/ESP_046359_1250
- ↑ Baker, V. 1982. The Channels of Mars. Univ. of Tex. Press, Austin, TX
- ↑ http://marsnext.jpl.nasa.gov/workshops/index.cfm
- ↑ http://hirise.lpl.arizona.edu/ESP_039404_1820
- ↑ Pondrelli, M., A. Rossi, L. Deit, S. van Gasselt, F. Fueten, E. Hauber, B. Cavalazzi, M. Glamoclija, and F. Franchi. 2014. A PROPOSED LANDING SITE FOR THE 2020 MARS MISSION: FIRSOFF CRATER. http://marsnext.jpl.nasa.gov/workshops/2014_05/33_Pondrelli_Firsoff_LS2020.pdf
- ↑ Golombek, J. et al. 2016. Downselection of landing Sites for the Mars 2020 Rover Mission. 47th Lunar and Planetary Science Conference (2016). 2324.pdf
- ↑ "HiRISE | High Resolution Imaging Science Experiment". Hirise.lpl.arizona.edu?psp_008437_1750. Retrieved 2012-08-04.
- ↑ Malin, M., Edgett, K. 2000. Evidence for recent groundwater seepage and surface runoff on Mars. Science 288, 2330–2335.
- 1 2 Hecht, M. 2002. Metastability of water on Mars. Icarus 156, 373–386
- 1 2 Mustard, J., et al. 2001. Evidence for recent climate change on Mars from the identification of youthful near-surface ground ice. Nature 412 (6845), 411–414.
- ↑ Pollack, J., D. Colburn, F. Flaser, R. Kahn, C. Carson, and D. Pidek. 1979. Properties and effects of dust suspended in the martian atmosphere. J. Geophys. Res. 84, 2929-2945.
- ↑ Boynton, W., and 24 colleagues. 2002. Distribution of hydrogen in the nearsurface of Mars: Evidence for sub-surface ice deposits. Science 297, 81–85
- ↑ Kuzmin, R, et al. 2004. Regions of potential existence of free water (ice) in the near-surface martian ground: Results from the Mars Odyssey High-Energy Neutron Detector (HEND). Solar System Research 38 (1), 1–11.
- ↑ Mitrofanov, I. et al. 2007a. Burial depth of water ice in Mars permafrost subsurface. In: LPSC 38, Abstract #3108. Houston, TX.
- ↑ Mitrofanov, I., and 11 colleagues. 2007b. Water ice permafrost on Mars: Layering structure and subsurface distribution according to HEND/Odyssey and MOLA/ MGS data. Geophys. Res. Lett. 34 (18). doi:10.1029/2007GL030030.
- ↑ Mangold, N., et al. 2004. Spatial relationships between patterned ground and ground ice detected by the neutron spectrometer on Mars. J. Geophys. Res. 109 (E8). doi:10.1029/ 2004JE002235.
- ↑ Feldman, W., and 12 colleagues. 2002. Global distribution of neutrons from Mars: Results from Mars Odyssey. Science 297, 75–78.
- ↑ Feldman, W., et al. 2008. North to south asymmetries in the water-equivalent hydrogen distribution at high latitudes on Mars. J. Geophys. Res. 113. doi:10.1029/2007JE003020.
- 1 2 Bright Chunks at Phoenix Lander's Mars Site Must Have Been Ice – Official NASA press release (19.06.2008)
- ↑ "Confirmation of Water on Mars". Nasa.gov. 2008-06-20. Retrieved 2012-07-13.
- ↑ Mutch, T.A., and 24 colleagues, 1976. The surface of Mars: The view from the Viking2 lander. Science 194 (4271), 1277–1283.
- ↑ Mutch, T., et al. 1977. The geology of the Viking Lander 2 site. J. Geophys. Res. 82, 4452–4467.
- ↑ Levy, J., et al. 2009. Thermal contraction crack polygons on Mars: Classification, distribution, and climate implications from HiRISE observations. J. Geophys. Res. 114. doi:10.1029/2008JE003273.
- ↑ Washburn, A. 1973. Periglacial Processes and Environments. St. Martin's Press, New York, pp. 1–2, 100–147.
- ↑ Mellon, M. 1997. Small-scale polygonal features on Mars: Seasonal thermal contraction cracks in permafrost. J. Geophys. Res. 102, 25,617-625,628.
- ↑ Mangold, N. 2005. High latitude patterned grounds on Mars: Classification, distribution and climatic control. Icarus 174, 336–359.
- ↑ Marchant, D., J. Head. 2007. Antarctic dry valleys: Microclimate zonation, variable geomorphic processes, and implications for assessing climate change on Mars. Icarus 192, 187–222
- ↑ http://www.diss.fu-berlin.de/diss/servlets/MCRFileNodeServlet/FUDISS_derivate_000000003198/16_ColdClimateLandforms-13-utopia.pdf?hosts=
- ↑ Kostama, V.-P., M. Kreslavsky, Head, J. 2006. Recent high-latitude icy mantle in the northern plains of Mars: Characteristics and ages of emplacement. Geophys. Res. Lett. 33 (L11201). doi:10.1029/2006GL025946. K
- ↑ Malin, M., Edgett, K. 2001. Mars Global Surveyor Mars Orbiter Camera: Interplanetary cruise through primary mission. J. Geophys. Res. 106 (E10), 23429–23540.
- ↑ Milliken, R., et al. 2003. Viscous flow features on the surface of Mars: Observations from high-resolution Mars Orbiter Camera (MOC) images. J. Geophys. Res. 108 (E6). doi:10.1029/2002JE002005.
- ↑ Mangold, N. 2005. High latitude patterned grounds on Mars: Classification, distribution and climatic control. Icarus 174, 336–359.
- ↑ Kreslavsky, M., Head, J. 2000. Kilometer-scale roughness on Mars: Results from MOLA data analysis. J. Geophys. Res. 105 (E11), 26695–26712.
- ↑ Seibert, N., J. Kargel. 2001. Small-scale martian polygonal terrain: Implications for liquid surface water. Geophys. Res. Lett. 28 (5), 899–902. S
- ↑ Kreslavsky, M.A., Head, J.W., 2002. High-latitude Recent Surface Mantle on Mars: New Results from MOLA and MOC. European Geophysical Society XXVII, Nice.
- ↑ Head, J.W., Mustard, J.F., Kreslavsky, M.A., Milliken, R.E., Marchant, D.R., 2003. Recent ice ages on Mars. Nature 426 (6968), 797–802.
- ↑ Lefort, A.; Russell, P. S.; Thomas, N.; McEwen, A. S.; Dundas, C. M.; Kirk, R. L. (2009). "Observations of periglacial landforms in Utopia Planitia with the High Resolution Imaging Science Experiment (HiRISE)". Journal of Geophysical Research. 114 (E4). Bibcode:2009JGRE..11404005L. doi:10.1029/2008JE003264.
- ↑ Morgenstern, A; Hauber, E; Reiss, D; van Gasselt, S; Grosse, G; Schirrmeister, L (2007). "Deposition and degradation of a volatile-rich layer in Utopia Planitia, and implications for climate history on Mars" (PDF). Journal of Geophysical Research: Planets. 112 (E6): E06010. Bibcode:2007JGRE..11206010M. doi:10.1029/2006JE002869.
- ↑ Lefort, A.; Russell, P.S.; Thomas, N. (2010). "Scalloped terrains in the Peneus and Amphitrites Paterae region of Mars as observed by HiRISE". Icarus. 205 (1): 259. Bibcode:2010Icar..205..259L. doi:10.1016/j.icarus.2009.06.005.
- ↑ Zanetti, M.; Hiesinger, H.; Reiss, D.; Hauber, E.; Neukum, G. (2009). "Scalloped Depression Development on Malea Planum and the Southern Wall of the Hellas Basin, Mars" (PDF). Lunar and Planetary Science. 40. p. 2178, abstract 2178. Bibcode:2009LPI....40.2178Z.
- ↑ http://hiroc.lpl.arizona.edu/images/PSP?diafotizo.php?ID=PSP_002296_1215
- ↑ http://www.space.com/34811-mars-ice-more-water-than-lake-superior.html?utm_source=sp-newsletter&utm_medium=email&utm_campaign=20161123-sdc
- ↑ Staff (November 22, 2016). "Scalloped Terrain Led to Finding of Buried Ice on Mars". NASA. Retrieved November 23, 2016.
- ↑ "Lake of frozen water the size of New Mexico found on Mars – NASA". The Register. November 22, 2016. Retrieved November 23, 2016.
- ↑ Bramson, A, et al. 2015. Widespread excess ice in Arcadia Planitia, Mars. Geophysical Research Letters: 42, 6566-6574
- ↑ https://planetarycassie.com/2016/11/04/widespread-thick-water-ice-found-in-utopia-planitia-mars/
- ↑ Stuurman, C., et al. 2016. SHARAD detection and characterization of subsurface water ice deposits in Utopia Planitia, Mars. Geophysical Research Letters: 43, 9484_9491.
- ↑ http://hirise.lpl.eduPSP_008508_1870
- ↑ Bleacher, J. and S. Sakimoto. Pedestal Craters, A Tool For Interpreting Geological Histories and Estimating Erosion Rates. LPSC
- ↑ http://themis.asu.edu/feature_utopiacraters
- ↑ McCauley, J. F. (1973). "Mariner 9 evidence for wind erosion in the equatorial and mid-latitude regions of Mars". Journal of Geophysical Research. 78 (20): 4123–4137. Bibcode:1973JGR....78.4123M. doi:10.1029/JB078i020p04123.
- ↑ Levy, J. et al. 2008. Origin and arrangement of boulders on the martian northern plains: Assessment of emplacement and modification environments> In 39th Lunar and Planetary Science Conference, Abstract #1172. League City, TX
- ↑ SAO/NASA ADS Astronomy Abstract Service: Yardangs on Mars
- ↑ http://www.esa.int/Our_Activities/Space_Science/Mars_Express/Yardangs_on_Mars
- ↑ http://themis.asu.edu/zoom-20020416a
- ↑ Carr, M. 2001.
- ↑ Morgenstern, A., et al. 2007
- 1 2 Baker, D., J. Head. 2015. Extensive Middle Amazonian mantling of debris aprons and plains in Deuteronilus Mensae, Mars: Implication for the record of mid-latitude glaciation. Icarus: 260, 269-288.
- ↑ Mangold, N. 2003. Geomorphic analysis of lobate debris aprons on Mars at Mars Orbiter Camera scale: Evidence for ice sublimation initiated by fractures. J. Geophys. Res. 108, 8021.
- ↑ Levy, J. et al. 2009. Concentric
- ↑ http://www.nasa.gov/mission_pages/phoenix/news/phoenix-20080619.html
- ↑ Byrne, S. et al. 2009. Distribution of Mid-Latitude Ground Ice on Mars from New Impact Craters: 329.1674-1676
- ↑ Head, J. et al. 2003.
- ↑ Madeleine, et al. 2014.
- ↑ Schon, et al. 2009. A recent ice age on Mars: Evidence for climate oscillations from regional layering in mid-latitude mantling deposits. Geophys. Res. Lett. 36, L15202.
- ↑ Head, J., J. Mustard. 2006. Breccia dikes and crater-related faults in impact craters on Mars: Erosion and exposure on the floor of a crater 75 km in diameter at the dichotomy boundary, Meteorit. Planet Science: 41, 1675-1690.
- ↑ Mangold et al. 2007. Mineralogy of the Nili Fossae region with OMEGA/Mars Express data: 2. Aqueous alteration of the crust. J. Geophys. Res., 112, doi:10.1029/2006JE002835.
- ↑ Mustard et al., 2007. Mineralogy of the Nili Fossae region with OMEGA/Mars Express data: 1. Ancient impact melt in the Isidis Basin and implications for the transition from the Noachian to Hesperian, J. Geophys. Res., 112.
- ↑ Mustard et al., 2009. Composition, Morphology, and Stratigraphy of Noachian Crust around the Isidis Basin, J. Geophys. Res., 114, doi:10.1029/2009JE003349.
- ↑ S. Fagents1,A., P. Lanagan, R. Greeley. 2002. Rootless cones on Mars: a consequence of lava-ground ice interaction. Geological Society, Londo. Special Publications: 202, 295-317.
- ↑ http://www.psrd.hawaii.edu/June01/lavaIceMars.html
- ↑ Jaeger, W., L. Keszthelyi, A. McEwen, C. Dundas, P. Russell, and the HiRISE team. 2007. EARLY HiRISE OBSERVATIONS OF RING/MOUND LANDFORMS IN ATHABASCA VALLES, MARS. Lunar and Planetary Science XXXVIII 1955.pdf.
Recommended reading
- Lorenz, R. 2014. The Dune Whisperers. The Planetary Report: 34, 1, 8-14
- Lorenz, R., J. Zimbelman. 2014. Dune Worlds: How Windblown Sand Shapes Planetary Landscapes. Springer Praxis Books / Geophysical Sciences.
- Grotzinger, J. and R. Milliken (eds.). 2012. Sedimentary Geology of Mars. SEPM.
External links
- Martian Ice - Jim Secosky - 16th Annual International Mars Society Convention
- https://www.youtube.com/watch?v=RYG-HLr33CM Martian Geology - Jim Secosky - 16th Annual International Mars Society Convention
- https://www.youtube.com/watch?v=ZNTNzQy1_UA Walks on Mars - Jim Secosky - 16th Annual International Mars Society Convention