Kasei Valles
|
Area around Northern Kasei Valles, showing relationships among Kasei Valles, Bahram Vallis, Vedra Valles, Maumee Valles, and Maja Valles. Map location is in Lunae Palus quadrangle. Flow was from bottom left to right. Image is approx. 1600 km across, and the channel system extends another 1200 km south of this image to Echus Chasma. | |
| Coordinates | 24°36′N 65°00′W / 24.6°N 65.0°WCoordinates: 24°36′N 65°00′W / 24.6°N 65.0°W |
|---|---|
| Naming | "Mars" in Japanese |
Kasei Valles is a giant system of canyons in Mare Acidalium and Lunae Palus quadrangles on Mars, located at 24.6° north latitude and 65.0° west longitude. It is 1,780 km long and was named for the word for "Mars" in Japanese.[1] Kasei Valles is one of the largest outflow channels on Mars.
Geography
.jpg)
This huge system is 300 miles wide in some places. In contrast, Earth's Grand Canyon is only 18 miles wide.[2] It is one of the longest continuous outflow channels on Mars. The Kasei Valles system begins in Echus Chasma, near Valles Marineris. It then runs northward, and appears to empty into Chryse Planitia, not far from where Viking 1 landed. At around 20° north latitude Kasei Valles splits into two channels, called Kasei Vallis Canyon and North Kasei Channel. These branches recombine at around 63° west longitude, forming a large island in the channel known as Sacra Mensa. Some parts of Kasei Valles are 2–3 km deep.[3]
Like other outflow channels, it was likely carved by liquid water, possibly released by volcanic subsurface heating in the Tharsis region, either as a one-time catastrophic event or multiple flooding events over a long time period. Others have proposed that certain landforms were produced by glacial rather than liquid flow.[4]
Three sets of enormous cataracts (dry falls) are present in the area between an "island" feature in the southern channel, Lunae Mensae, and the crater Sharonov.[5][6] These cataracts, evidently carved during megaflooding events, have headwalls up to 400 m high[6] and are considerably larger than the largest terrestrial analog, Dry Falls.[5] They may have migrated over 100 km upstream during the era of flooding in Kasei Valles.[5]
Gallery
- Map of Lunae Palus quadrangle with labels. Kasei Valles can be seen at the top of the image.
High resolution THEMIS daytime infrared image mosaic of Kasei Valles and its surroundings.
THEMIS image illustrating details of channels.- Cliff in Kasei Valles system, as seen by HiRISE.
- Enlargement of cliff in Kasei Valles system in previous image showing boulders and their tracks, as seen by HiRISE. The boulders are around 2 m across.
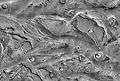
View of streamlined landforms in Kasei Valles (detail from THEMIS mosaic at right).
View showing putative cataracts in Kasei Valles southwest of Sharonov (detail from THEMIS mosaic).
References
- ↑ http://planetarynames.wr.usgs.gov
- ↑ http://hiroc.lpl.arizona.edu/images/PSP/diafotizo.php?ID=PSP_001640_2125
- ↑ Baker, V. 1982. The Channels of Mars. University of Texas Press. Austin
- ↑ http://themis.asu.edu/zoom-20050427a
- 1 2 3 Coleman, N. (March 2010). "Spectacular cataracts (dry falls) on the floor of Kasei Valles, Mars". 41st Lunar and Planetary Science Conference. Lunar and Planetary Institute. p. 1174. 1533. Retrieved 2013-11-17.
- 1 2 Coleman, N.; Lindberg, S. (March 2013). "New insights about cataracts (dry falls) on the floor of Kasei Valles, Mars". 44th Lunar and Planetary Science Conference. Lunar and Planetary Institute. p. 1148. 1719. Retrieved 2013-11-17.
External links
| Wikimedia Commons has media related to Kasei Valles. |